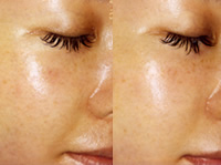
お客様Before・After
2025年2月10日

素肌新館 大人気フェイシャルメニュー “TUF”(タイイトニング超音波フェイシャル)
での、ビフォーアフターのお写真です💁♀️
お顔のもたつきを改善・横顔を綺麗に見せたい!!
とのお希望で施術に入らせていただきました💆♀️
頬のパンととしたはり感やフェイスラインがとてもスッキリしてきました🎵
同時にお肌のなめらかになりトーンアップしています👏
これからの変化も更に楽しみです😊
#エステ#フェイシャル#たるみ#ハリ#ツヤ#トーンアップ#くすみ#リフトアップ#肌質改善#タイトニング#引き締め#毛穴#沼津#御殿場












